# 1989
Available
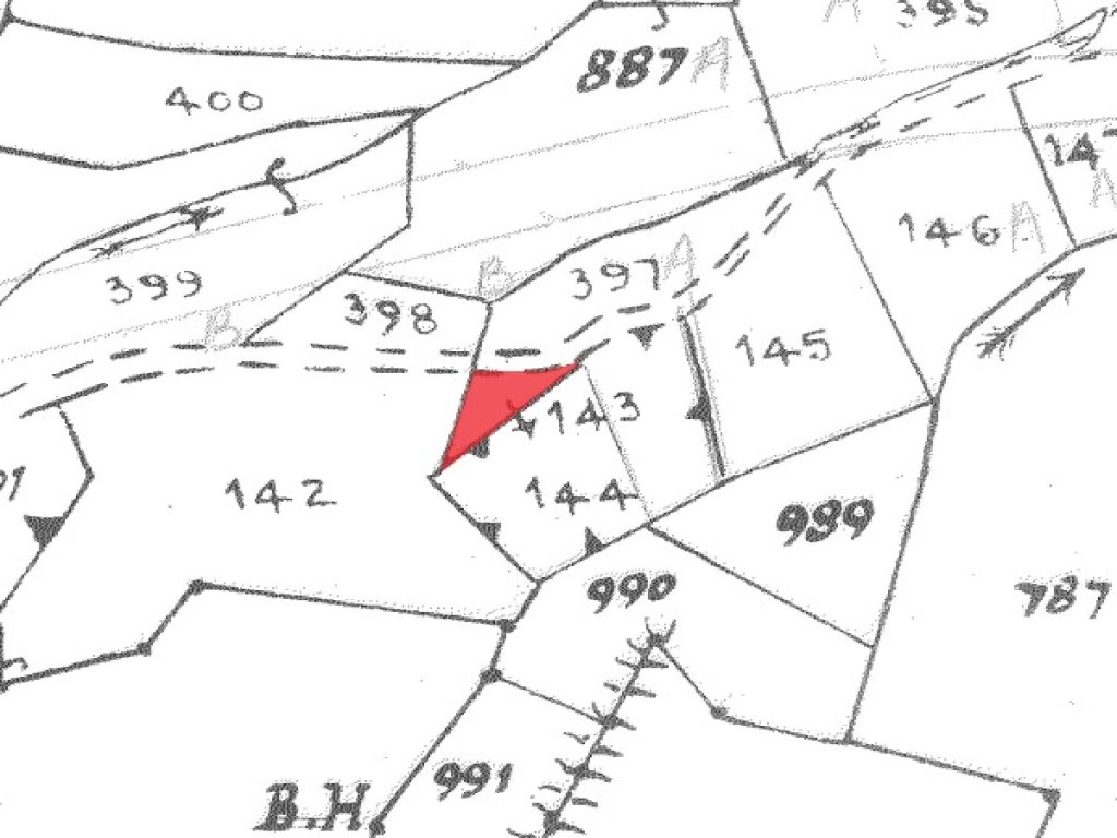
Field (Share) - Agrokipia, Nicosia
Nicosia, Agrokipia
€ 2.500+VAT
Description
Available for sale is the 19/36 share of a residential field which corresponds to approximately 117 sq.m in Agrokipia community, in Nicosia District.It is situated at a distance of approximately 900m west from the center of the community. The immediate area of the property is residential and agricultural.The property has an irregular shape, sloping surface and abuts onto a public asphalted road along its northern boundary, with a frontage of approximately 20m.
Details
Land Type:
Field
Town Planning Zone:
Residential
Building Coverage (%):
25%
Building Density (%):
40%
Height:
8m
Zone:
Η4
Share:
19/36
Areas
Plot:
223m²